Skip to main content
Toggle Main Menu
Toggle Search
Login
Register
Register
Home
About
About the Project
Acknowledgments
Awards
Contact Us
FAQs
Glossary
Related Links
Terms of Use
User Privacy
Get Involved
How to Get Involved
Be a Coordinator
Partner with Us
FAQs
Identify
Regions
Image Gallery
Maps and Data
Explore Data
Recent Sightings
Recent Sightings Map
Species Profiles
Species Search
Regional Checklists
Taxonomy
Species Search
Shop
Donate
Butterflies and Moths of North America
collecting and sharing data about Lepidoptera
Search
Log in
Register
Search
×
×
My BAMONA
My sightings
My species checklist
Manage my photographs
My Account
×
Modal Header
Submit a Sighting
×
Coordinator Tools
Pending sightings
Sightings I verified
Species I created
Unidentifiable sightings
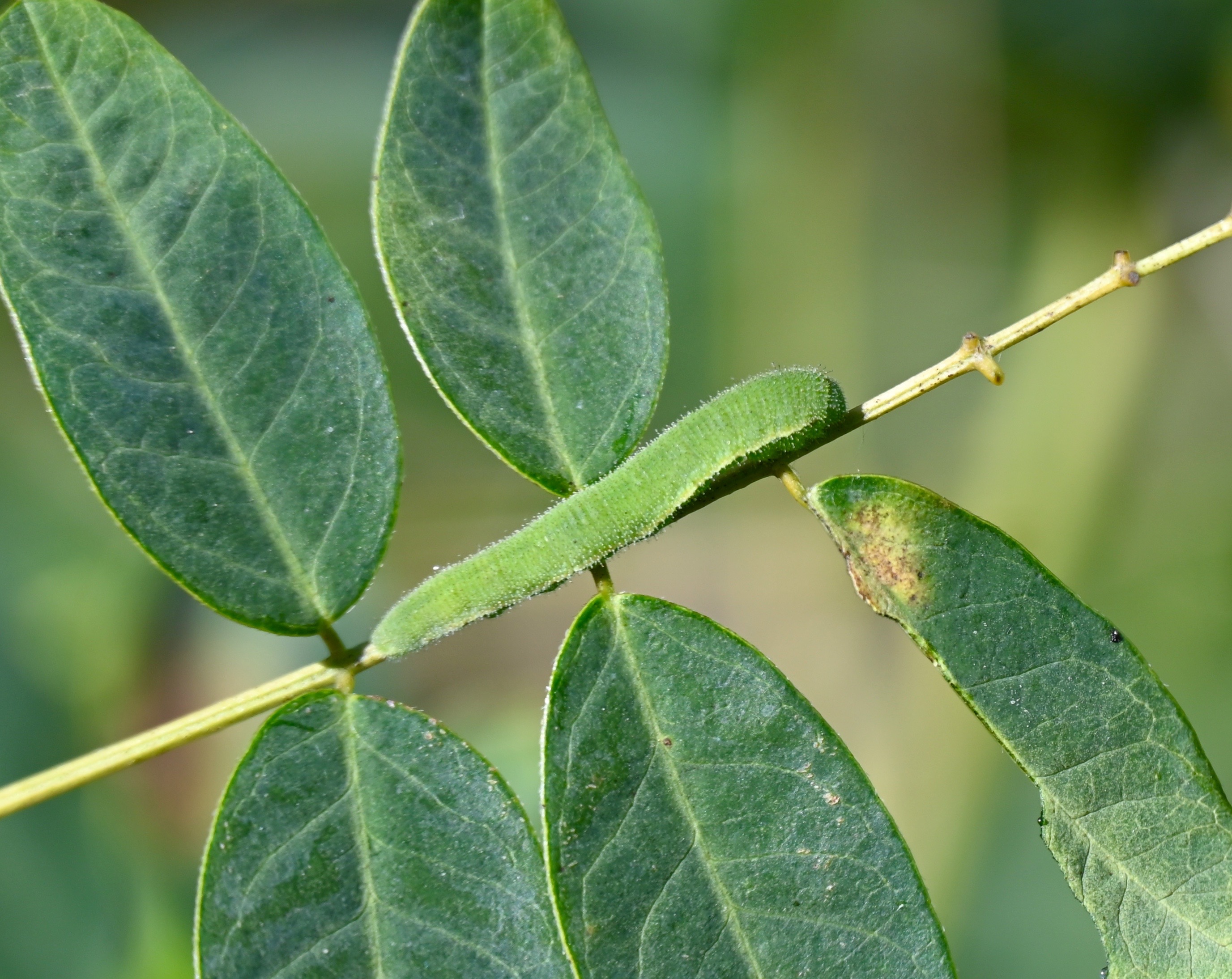
Sighting 1393293
Sleepy Orange
Abaeis nicippe
Observation date:
September 03, 2024
Submitted by:
jmgesell
Specimen type:
Photograph
Observation notes:
Sleepy Orange cat on Senna.
Status:
Temporary Colonist
Verified by:
curtis.lehman
Verified date:
September 04, 2024
Coordinator notes:
None.
Checklist region(s):
United States
,
Pennsylvania
,
Northampton County