Butterflies and Moths of North America

collecting and sharing data about Lepidoptera

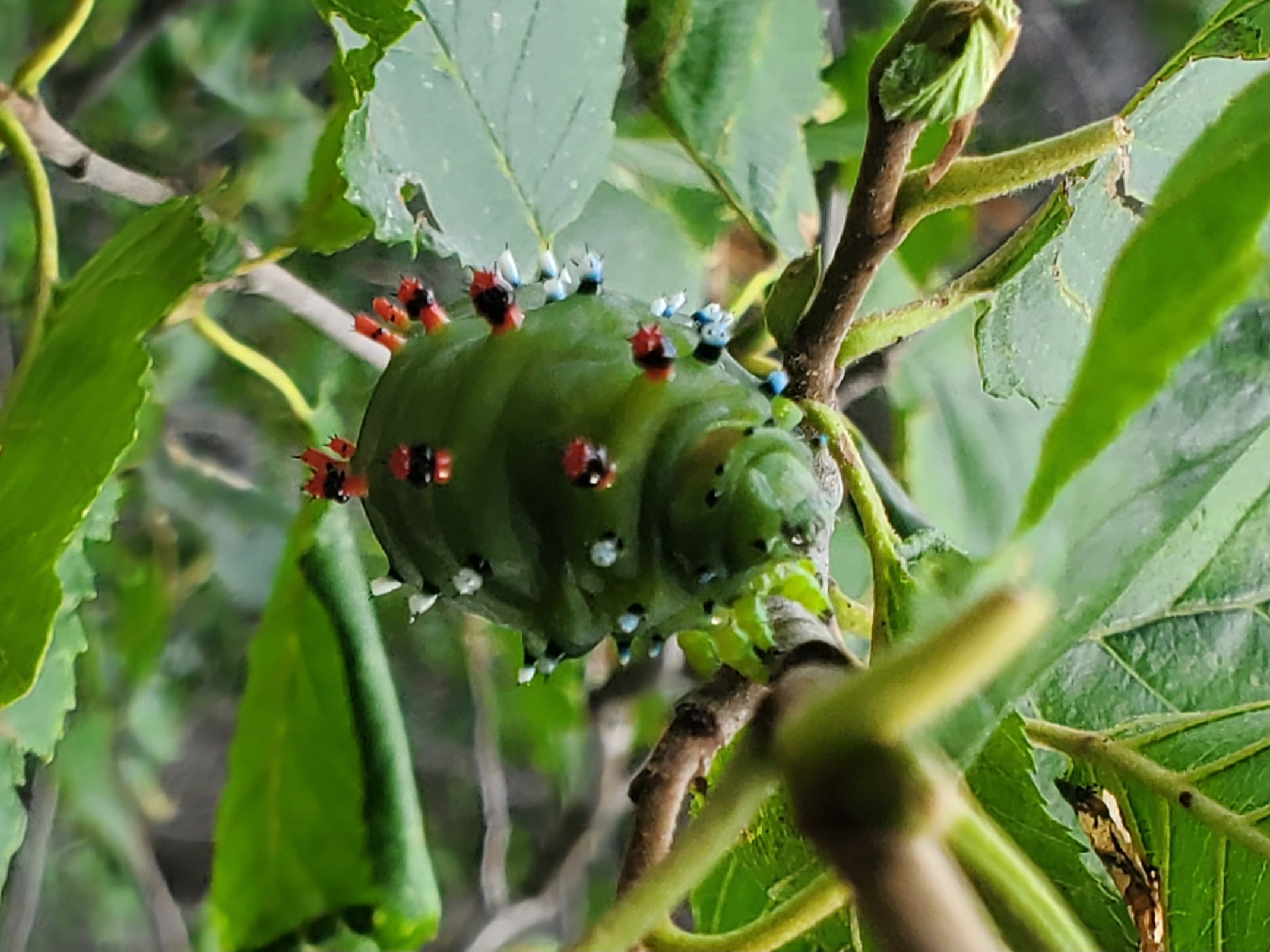
  Sighting 1343093

Ceanothus silkmoth
Hyalophora euryalus

Observation date: September 07, 2022
Submitted by: Ramava1026
Specimen type: Photograph
Observation notes: Mostly sunny, approx. 75 degrees Fehrenheit, calm. Located along branch in alder sp.
Status: Resident
Verified by: davidwdroppers
Verified date: October 18, 2022
Coordinator notes: None.
Checklist region(s): United States, Washington, Ferry County