Butterflies and Moths of North America

collecting and sharing data about Lepidoptera

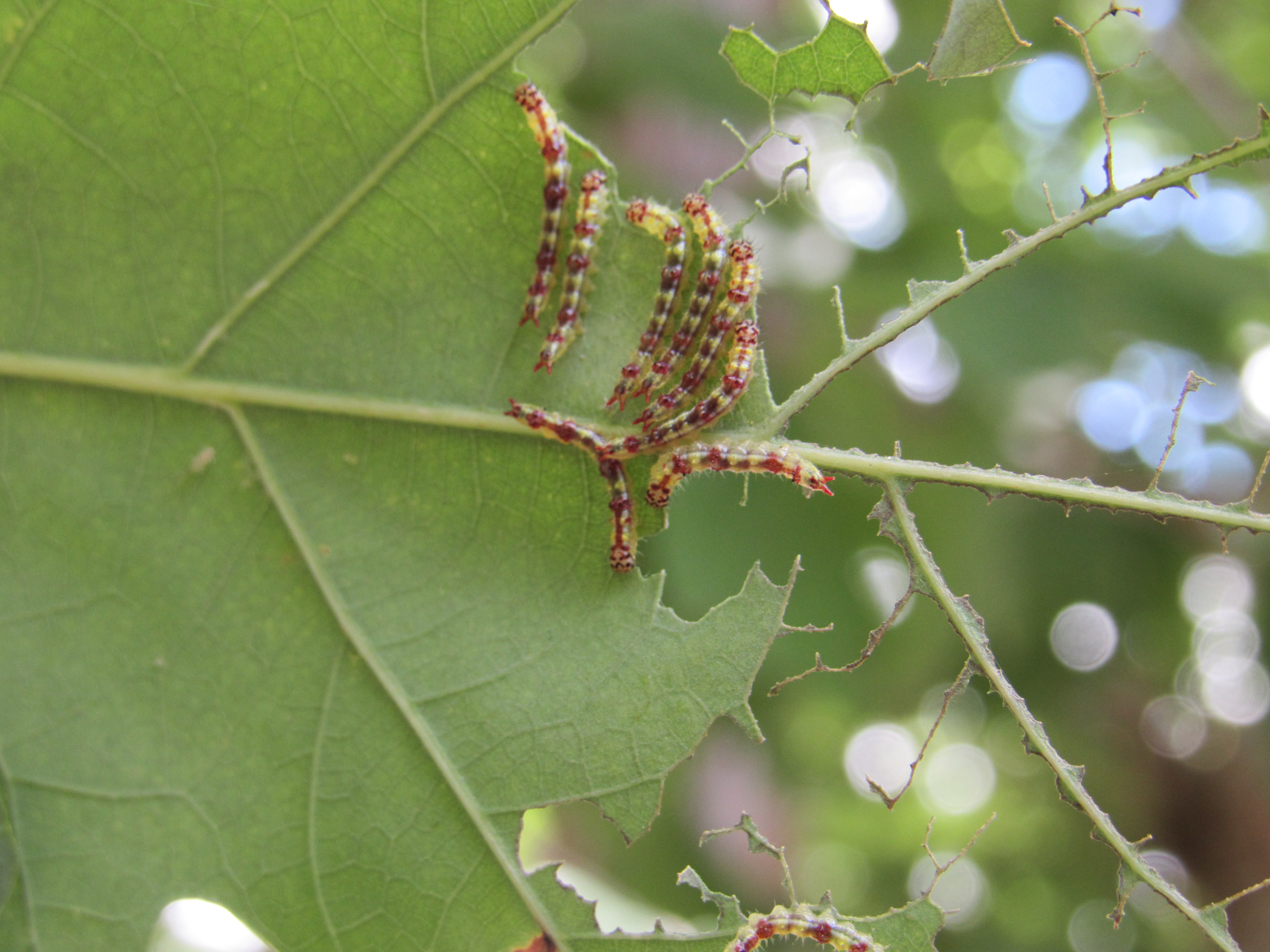
  Sighting 1167901

Variable Oakleaf Caterpillar Moth
Lochmaeus manteo

Observation date: July 05, 2018
Submitted by: Exo514
Specimen type: Photograph
Observation notes: A group of 10 second instar specimens feeding together on an oak leaf.
Status: Resident
Verified by: jwileyrains
Verified date: February 05, 2022
Coordinator notes: None.
Checklist region(s): United States, New Jersey, Monmouth County